

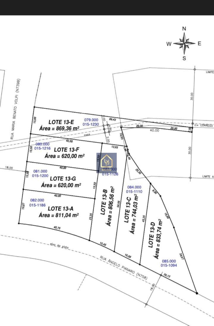
Terreno à venda! São 744,03 m² por R$ 595.224,00 no bairro Butiatuvinha, Curitiba-PR
R$636.889 / VENDATerreno à venda! São 744,03 m² por R$ 595.224,00 no bairro Butiatuvinha, Curitiba-PR
R$636.889Venda
Área Total
Descrição do imóvel
Excelente oportunidade de investimento em terreno no bairro Butiatuvinha, em Curitiba-PR. Com uma área total de 744.03m², esta é a escolha ideal para quem busca construir a sua residência dos sonhos ou até mesmo investir em um negócio lucrativo. Localizado em uma região valorizada da cidade, este terreno oferece uma localização privilegiada, próxima a diversos comércios e serviços essenciais.
Trata-se do Lote 13-C conforme imagem deste anúncio.
Com um tamanho generoso, este terreno proporciona inúmeras possibilidades para a construção de um imóvel sob medida para atender todas as suas necessidades. Seja para residir, investir ou construir um empreendimento, esta é a oportunidade perfeita para adquirir um pedaço de terra em uma das regiões mais desejadas de Curitiba.
Não perca tempo e garanta já o seu terreno no bairro Butiatuvinha. Entre em contato conosco através do formulário disponível no site e agende uma visita para conhecer de perto esta incrível oportunidade de negócio. Comprar um terreno nesta localização privilegiada é o passo certo para alcançar seus objetivos e investir em um futuro promissor. Aproveite essa chance única de adquirir um terreno com grande potencial de valorização e agende sua visita hoje mesmo.
Temos conosco os lotes confrontantes ao deste anúncio. Entre em contato para maiores informações.
As informações estão sujeitas a alterações. Consulte o corretor responsável.



